lunes , diciembre 15 2025
Huracán Melissa Azota Jamaica como la Tormenta Más Fuerte en la Historia Registrada

Huracán Melissa Azota Jamaica como la Tormenta Más Fuerte en la Historia Registrada

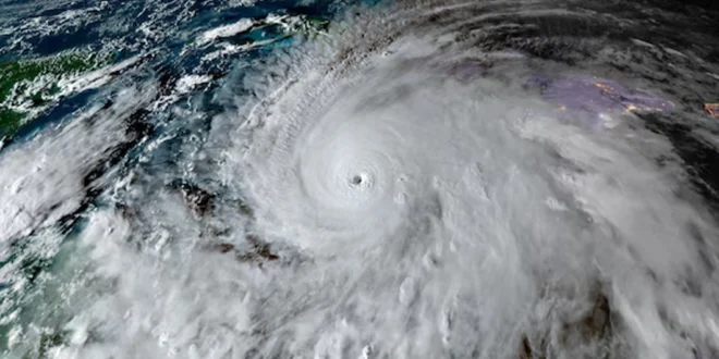
El huracán Melissa se dirigía a Jamaica el martes, presentándose como una tormenta de categoría 5 catastrófica, la más fuerte en azotar la isla desde que comenzaron los registros hace 174 años. Se esperaba que la tormenta tocara tierra temprano el martes y cruzara la isla en diagonal, entrando cerca de la parroquia de St. Elizabeth en el sur y saliendo alrededor de la parroquia de St. Ann en el norte, según los pronosticadores. Poco después, se espera que golpee Cuba.

Horas antes de la tormenta, el gobierno jamaicano declaró haber hecho todo lo posible para prepararse, advirtiendo sobre daños catastróficos. «No hay infraestructura en la región que pueda resistir una categoría 5», dijo el Primer Ministro Andrew Holness. «La pregunta ahora es la velocidad de recuperación. Ese es el desafío».

Se reportaron deslizamientos de tierra, árboles caídos y numerosos cortes de energía antes de la tormenta, con funcionarios en Jamaica advirtiendo que la limpieza y la evaluación de daños serían lentas. Se espera una marejada ciclónica de hasta 4 metros (13 pies) en el sur de Jamaica, con funcionarios preocupados por el impacto en algunos hospitales a lo largo de la costa. El Ministro de Salud, Christopher Tufton, dijo que algunos pacientes fueron reubicados desde la planta baja al segundo piso, «y (esperamos) que eso sea suficiente para cualquier oleada que tenga lugar».

La tormenta ya se atribuyó a siete muertes en el Caribe, incluyendo tres en Jamaica, tres en Haití y una en la República Dominicana, donde otra persona permanece desaparecida.

Jamaica se prepara para daños catastróficos. Temprano el martes, Melissa se centró a unas 115 millas (180 kilómetros) al oeste-suroeste de Kingston y a unas 290 millas (465 kilómetros) al suroeste de Guantánamo, Cuba. El sistema tenía vientos máximos sostenidos de 175 mph (280 kph) y se movía hacia el norte-noreste a 5 mph (8 kph), según el Centro Nacional de Huracanes de EE. UU. en Miami.

«Saldremos adelante juntos», dijo Evan Thompson, director principal del servicio meteorológico de Jamaica. Colin Bogle, un asesor de Mercy Corps con sede cerca de Kingston, dijo que la mayoría de las familias se refugian en el lugar a pesar de que el gobierno ordenó evacuaciones en comunidades propensas a inundaciones. «Muchos nunca han experimentado algo así antes, y la incertidumbre es aterradora», dijo. «Existe un profundo temor de perder hogares y medios de vida, de lesiones y de desplazamiento».

Matthew Samuda, el Ministro de Agua y Medio Ambiente de Jamaica, dijo que tenía más de 50 generadores disponibles para desplegar después de la tormenta, pero advirtió a la gente que reserve agua limpia y la use con moderación. «Cada gota contará», dijo.

Melissa apunta a Cuba. También se esperaba que Melissa tocara tierra en el este de Cuba el martes por la noche como un poderoso huracán. Una advertencia de huracán estaba en efecto para las provincias de Granma, Santiago de Cuba, Guantánamo y Holguín, mientras que una advertencia de tormenta tropical estaba en efecto para Las Tunas. Se pronosticaron hasta 51 centímetros (20 pulgadas) de lluvia para partes de Cuba, junto con una marejada ciclónica significativa a lo largo de la costa. Funcionarios cubanos dijeron el lunes que estaban evacuando a más de 600,000 personas de la región, incluyendo Santiago, la segunda ciudad más grande de la isla.

Melissa también ha empapado las regiones del sur de Haití y la República Dominicana, con una advertencia de tormenta tropical todavía en efecto para Haití. Se pronosticó que el huracán giraría hacia el noreste después de Cuba y golpearía el sureste de las Bahamas el miércoles por la noche. Una advertencia de huracán estaba en efecto para el sureste y el centro de las Bahamas, y se emitió una advertencia de tormenta tropical para las Islas Turcas y Caicos.

Check Also

María Corina Machado Recibe Nobel de la Paz 2025: Su Hija Asiste en su Lugar a Oslo

María Corina Machado Recibe Nobel de la Paz 2025: Su Hija Asiste en su Lugar a Oslo

María Corina Machado, líder opositora venezolana galardonada con el Premio Nobel de la Paz 2025 por su lucha por la democracia en Venezuela, no asistió a la ceremonia del 10 de diciembre en Oslo